Tajemnicze zdjęcia przekazane przez PGE! Zawierają bardzo ważne informacje dla klientów

2024-02-23 12:31

Klienci PGE Toruń mogą sprawdzić, czy budynki, w których mieszkają są odpowiednio chronione przed utratą ciepła. Przedstawicielka spółki przekazała naszej redakcji ciekawe zdjęcia, które zawierają bardzo przydatne informacje. Szczegóły wyjaśniamy w poniższym materiale.

Przedstawiciele PGE Toruń zapewniają, że ich spółka od lat wspiera odbiorców ciepła w poprawie efektywności energetycznej budynków. Oprócz dedykowanych programów dofinansowujących energooszczędność budynków, od jesieni ubiegłego roku każdy z właścicieli i zarządców budynków w Toruniu, ogrzewanych ciepłem sieciowym lub będących w zasięgu sieci ciepłowniczej, może bezpłatnie otrzymać zdjęcia termowizyjne stropodachów dla 10 swoich obiektów wraz z instrukcją ich odczytywania. Do tej pory, PGE Toruń przekazała już ponad 360 zdjęć.

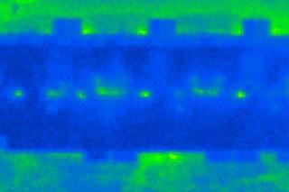
- Zdjęcia wykonane są w podczerwieni i pokazują miejsca ubytków ciepła. Wskazuje na to intensywność koloru - im jaśniejszy kolor, tym wyższa temperatura badanej powierzchni, co sugeruje utratę ciepła - wyjaśnia PGE Toruń w komunikacie, przesłanym mediom. Zobaczcie przykładowe zdjęcia w naszej galerii. Pod nią dalszy ciąg tekstu.

Co dadzą klientom zdjęcia od PGE Toruń? Wyjaśniamy szczegóły

Na podstawie otrzymanych zdjęć, klienci mogą zdecydować o podjęciu ewentualnych działań termomodernizacyjnych oraz sprawdzić skuteczność przeprowadzonych wcześniej modernizacji. W ten sposób spółka zachęca właścicieli i administratorów budynków, aby przed kolejnym sezonem grzewczym podjęli działania, wpływające na oszczędność ciepła w budynku i, tym samym, zmniejszyli koszty ogrzewania.

- Klienci PGE Toruń, którzy chcą bezpłatnie otrzymać zdjęcia w podczerwieni, skorzystać z dodatkowej analizy zdjęć lub zamówić usługę mogą zgłosić się do Biura Obsługi Klienta PGE Toruń, tel. 56 65 94 340, mail: [email protected] - zachęcają przedstawiciele PGE. Informacje o dodatkowych usługach znajdziecie na stronie spółki.

Z tych obiektów Toruń może być dumny. Kliknij i zobacz galerię ze zdjęciami

Player otwiera się w nowej karcie przeglądarki